
Novi uragan na Atlantiku nazvan Ophelia ojačao je i ovaj vikend mogao bi stići do portugalskog otočja Azori, a sljedećeg tjedna i na irske i britanske obale.
Ovo je deseti uzastopni uragan koji se razvio na Atlantiku ove godine, a prema meteorologu Philu Klotzbachu, takvo što nije se dogodilo još do 1893. godine.
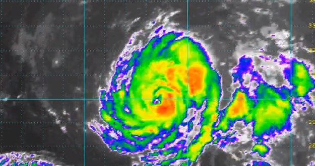
Tropska oluja prerasla je u uragan prošle noći, a američki Nacionalni centar za uragane upozorio je da bi narednih dana mogao dodatno ojačati.

Portugalske oluje
Na istočni dio portugalskog arhipelaga ovog bi se vikenda mogla sručiti velika količina kiše, a siloviti vjetrovi mogli bi pogoditi Azorske otoke.
Prema podacima o uraganima, samo je 15 njih prošlo na oko 200 nautičkih milja od Azora od 1851. godine. Svi su se dogodili u kolovozu ili rujnu, osim uragana Fran u listopadu 1973. i uragana Alex u siječnju prošle godine.
Američki centar za uragane predviđa da će Ophelia do ponedjeljka prijeći u posttropsku ciklonu, ali s vjetrovima snage kao u uraganu te da će se kretati prema sjeveroistoku, a zatim prema sjeveru do Iberskog poluotoka.
Dosad su obale Portugala i Španjolske pogodile samo dvije tropske ciklone: prijelaz uragana u tropsku ciklonu u listopadu 1842. godine, te uragan Vince kao tropska depresija u listopadu 2005. godine.
Britanija i Irska na udaru
Nakon što prođe Iberski poluotok, očekuje se da će tropska ciklona skrenuti prema sjeveru i u ponedjeljak stići na britanske i irske obale. Na Emerald Isleu očekuje se eksplozija snažnih vjetrova, a početkom sljedećeg tjedna u zapadnom dijelu Irske bit će mnogo kiše. Britanski meteorolozi očekuju da će uzrokovati vremenske poremećaje, javlja Met Office. Najgore se očekuje na zapadu zemlje gdje će puhati vjetrovi brzine i do 150 kilometara na sat.
Dolazak uragana Ophelia dogodit će se otprilike na tridesetu godišnjicu velike oluje iz 1987. koja je pogodila jug Engleske. Oluja je tada odnijela 18 života i napravila štetu od milijardu funti.
Žuto upozorenje
Ipak, usprkos brzom napredovanju preko Atlantika, prognostičari misle kako će uragan dok dosegne britansku obalu oslabiti i postati posttropska oluja. Slabljenje uragana u posttropsku oluju očekuju zbog niskih temperatura mora, ali svejedno naglašavaju kako će je “držati na oku”, piše Telegraph.
Met Office objavio je za dijelove zapadne Škotske, Walesa i zapadne Engleske žuto upozorenje za ponedjeljak. Ovo upozorenje znači da su moguće povremene smetnje i kašnjenja u prometu te da postoji mala mogućnost nestanka struje, oštećenja zgrada i velikih valova.
Jednako upozorenje objavio je Met Eireann za Irsku, uz naglasak na to da ostatci uragana Ophelia mogu imati veliki utjecaj na vremenske prilike u nekim dijelovima zemlje.
(Izvor: Index.hr)













